Back in April we posted about a gas station being planned for the corner of 44th and Regal Street. The developer has now submitted their State Environmental Protection Act (SEPA) Application and the City is accepting public comments on the proposal. The comment period is open until Friday, August 26th and you can send your comments via email to Donna DeBit at the City Planning Department: ddebit@spokanecity.org.
A preliminary site plan for a gas station at 44th Ave. and Regal Street.
You can review the SEPA Application here. It discusses potential impacts on the air, water, and land. It also covers impacts on transportation and surrounding services. I have also uploaded the Trip Generation Letter so you can see it as well.
Southgate Neighborhood Council has already submitted comments on this project during the Agency Comment Period that just closed yesterday. I have posted our comments here for you to review. The convered three main areas: 1) Review of the site plan and project design in accordance to an existing Hearing Examiner decision in effect on this property from 1997. 2) Concerns about placing a fuel station adjacent to a Department of Natural Resources identified stream and placing underground tanks below the water table as well as meeting additional conditions for stormwater management from the 1997 Hearing Examiner decision. 3) Concerns about the addition of a projected 5,400 daily vehicles trips on Regal Street an the impact to the broad transportation network around Southgate and Moran Prairie given the marked increase in high impact development in our neighborhood over the past few years.
We will post a summary of our submitted comments later this weekend to help you craft your own comments, but we wanted to let people know about this comment period right away.
The Spokane County Parks Department is moving forward with plans to expand the facilities at Prairie View Park at Freya and 61st. Currently the site of the Southside Family Aquatics Facility, the new expansion will develop softball field, a Little League baseball field, and a number of sand volleyball courts. The development will also include an 8′ wide pathway around the park and include approximately 35 new parking spaces.
The SEPA comment period for this project closed August 1st last week, so work on grading might begin in a few weeks. The project coordinator for the County Parkes Department is John Bottelli and he said he will still take comments from neighbors and is willing to answer any questions you may have. You can reach him at jbottelli@spokanecounty.org.
You can see renderings of the proposed improvement on the Prairie View Park page on the County website. Additionally we’ve uploaded the latest design documents provided by the County to our website.
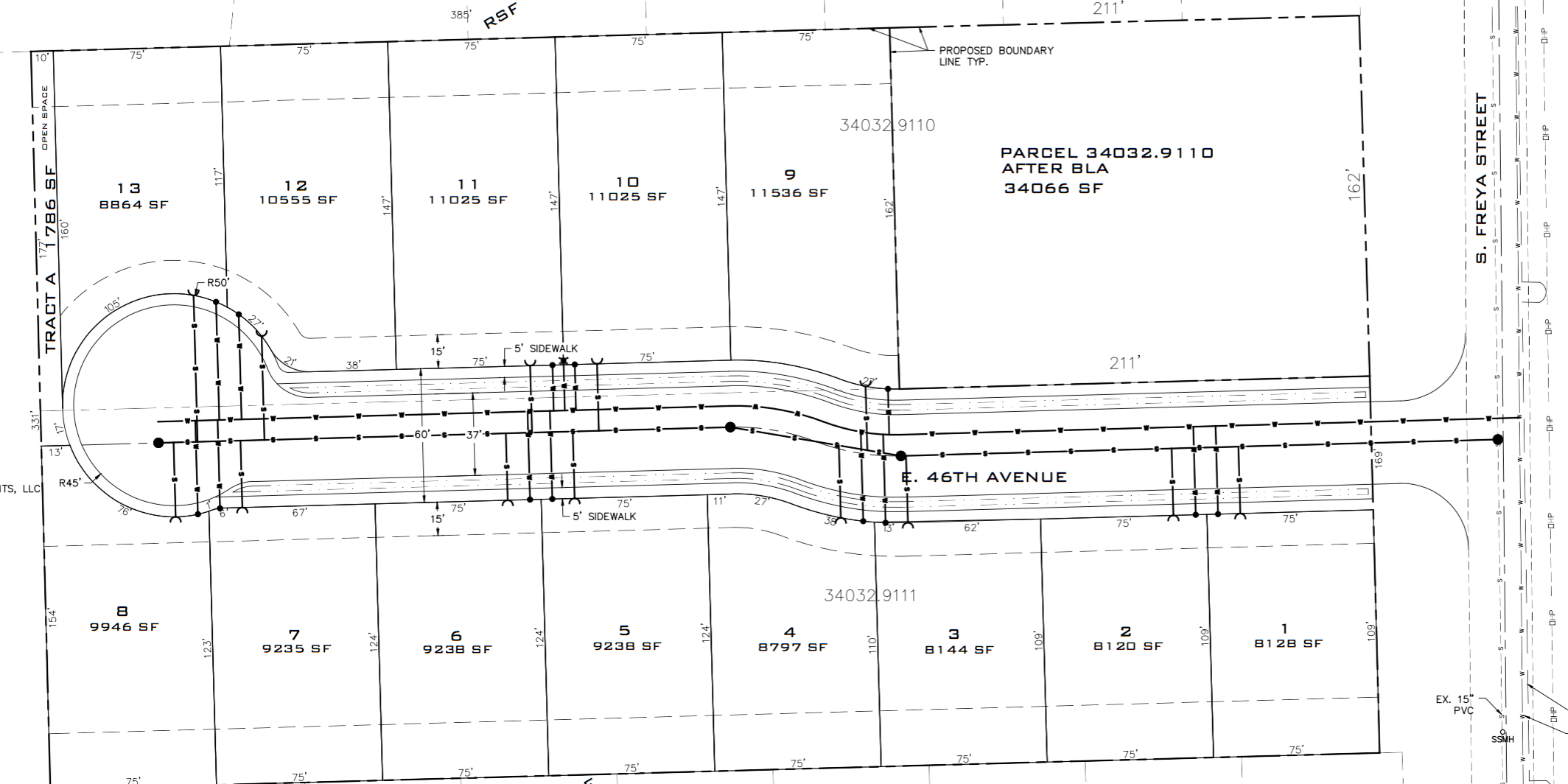
This week we received a Notice of Community Meeting that will be held at 6:00 PM on August 16th at Moran Prairie Library to discuss a proposed small subdivision at 46th Avenue and Freya Street. There are currently two homes on two large properties on the west side of Freya. The south house will be demolished and the two lots will be divided into 13 smaller parcels.
Last month we received a letter from Avista outlining the next phases of their ongoing program to replace a high-voltage power line that runs from 9th and Dickey below Glenrose over to a substation off of Highway 195. The line runs across Southgate along 53rd Avenue and then up Crestline to 57th Avenue. They will be replacing a 1950s era wooden poles with new metal ones.
If you have questions you can contact the project manager, Bryan Hyde, at bryan.hyde@avistacorp.com or 509-495-2990.